Korea Utara dan Korea Selatan Bersiap Hadapi Dua Topan dalam 1 Pekan
Topan Maysak ini meluncur ke arah Semenanjung Korea, dan mengancam membawa lebih banyak banjir dan kehancuran bagi daerah yang dilewati topan tersebut
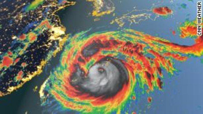
TRIBUNNEWS.COM - Korea Utara dan Korea Selatan dilaporkan tengah bersiap menghadapi terjangan dua topan dahsyat dalam sepekan ini.
Topan Maysak ini meluncur ke arah Semenanjung Korea, dan mengancam membawa lebih banyak banjir dan kehancuran bagi daerah yang dilewati topan tersebut.
Mengutip CNN, topan Maysak setara dengan badai Kategori 4, diperkirakan akan menghantam bagian selatan Semanjung Korea pada Rabu malam (2/9/2020) waktu setempat.
Baca: Kim Jong Un Peringatkan Bencana Angin Topan dan Wabah Virus Corona di Korea Utara
Baca: Diisukan Koma, Kim Jong Un Tampak Sehat Pimpin Rapat Bahas Covid-19 dan Topan
Badai saat ini memiliki kecepatan angin 215 kilometer per jam, tetapi diperkirakan akan melemah menjadi badai Kategori 2 dengan kecepatan angin sekitar 99 hingga 108 mph (160 hingga 175 kph) pada saat mendarat di Semenanjung Korea.
Jika Topan Maysak menghantam Semenanjung Korea, itu akan menjadi badai keempat yang terjadi tahun ini.
Rabu-Kamis Korea Selatan akan Dilanda Hujan Lebat Disertai Angin
Lebih jauh, Badan Meteorologi Korea (KMA) memperkirakan Korea Selatan akan dilanda hujan lebat dan angin kencang pada Rabu dan Kamis.
Dan cuaca buruk lainnya menanti di wilayah tersebut.
Badai Tropis Haishen diperkirakan akan menguat menjadi topan dalam 24 jam ke depan, sebelum setara dengan badai Kategori 4 pada akhir minggu.
Baca: Badai Laura Hantam Louisiana, Hancurkan Banyak Bangunan, 4 Orang Tewas
Baca: Topan Amphan di India Tewaskan 72 Jiwa, Ribuan Orang Kehilangan Rumah hingga Jembatan Hanyut
Ini diperkirakan mengancam wilayah Kyushu barat daya Jepang pada Minggu, dan berpotensi mempengaruhi Semenanjung Korea pada hari Senin.
Badan meteorologi Jepang memperingatkan bahwa badai itu bisa menjadi yang terbesar ketiga yang melanda negara itu sejak pencatatan dimulai hampir 70 tahun lalu.
Persiapan Korea
Lebih lanjut, baik Korea Utara dan Selatan sedang bersiap-siap saat dua badai mendekat.
Pejabat pemerintah Korea Selatan telah dikirim ke daerah-daerah yang diperkirakan terkena dampak Topan Maysak, Kementerian Dalam Negeri dan Keselamatan Korea Selatan mengumumkan dalam rilis berita Rabu.
Kantor Berita Pusat Korea (KCNA) milik pemerintah Korea Utara melaporkan Rabu bahwa "tindakan mendesak sedang diambil untuk meminimalkan kerusakan," dengan hujan lebat dan angin kencang diperkirakan akan melanda berbagai bagian negara itu.
Baca: Daftar Negara yang Masih Aman dari Virus Corona, Korea Utara hingga Samoa
:quality(30):format(webp):focal(0.5x0.5:0.5x0.5)/tribunnews/foto/bank/originals/topanmaysak.jpg)