Senin, 6 Oktober 2025

Topan Hinnamnor Dahsyat Dekati Korea, Presiden Yoon Suk-yeol Naikkan Level Siaga Tertinggi

Presiden Korea Selatan Yoon Suk-yeol menaikkan status siaga topan ke level tertinggi setelah Topan Hinnamnor mendekati Korea Selatan, Senin ini.

Penulis: Larasati Dyah Utami
Editor: Choirul Arifin
ndtv
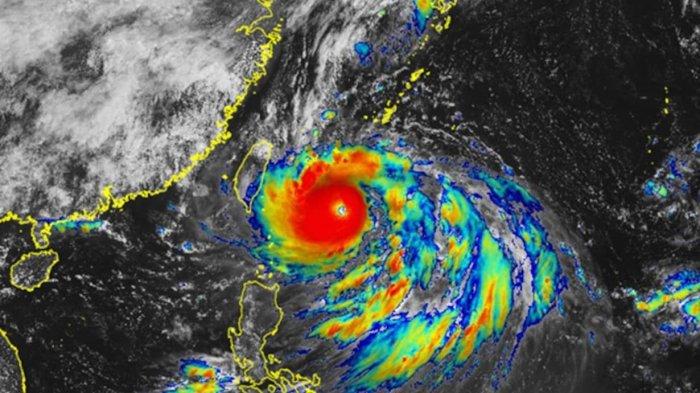
Presiden Korea Selatan Yoon Suk-yeol menaikkan status siaga topan ke level tertinggi saat Topan Hinnamnor mendekati Korea Selatan pada hari Senin (5/9/2022). 

Laporan Wartawan Tribunnews, Larasati Dyah Utami

TRIBUNNEWS.COM, SEOUL - Presiden Korea Selatan (Korsel) Yoon Suk-yeol menaikkan status siaga topan ke level tertinggi saat Topan Hinnamnor mendekati Korea Selatan pada hari ini, Senin (5/9/2022).

Kondisi ini memaksa pembatalan penerbangan, penangguhan beberapa operasi bisnis dan penutupan sekolah.

Dilansir Reuters, hujan deras dan angin kencang melanda bagian selatan negara itu, dengan topan bergerak ke utara dengan kecepatan 24 kilometer per jam. 

Hinnamnor diperkirakan akan mendarat di barat daya kota pelabuhan Busan Selasa pagi, setelah mencapai perairan Pulau Jeju pada Senin malam. 

Presiden Yoon mengatakan Korsel akan berada dalam siaga darurat, sehari setelah memerintahkan pihak berwenang untuk melakukan segala upaya untuk meminimalkan kerusakan akibat topan yang telah diklasifikasikan sebagai "topan yang sangat kuat".

Menurut perkiraan Badan Meteorologi Korea (KMA), Hinnamnor menuju timur laut menuju Sapporo, Jepang.

Baca juga: Topan Tropis Gombe Landa Negera-negara di Afrika Tenggara

"Angin sangat kencang dan hujan lebat diperkirakan terjadi di seluruh negeri hingga Selasa karena topan, dengan gelombang sangat tinggi diperkirakan di wilayah pesisir bersama dengan badai dan tsunami," kata KMA.

Korea Selatan mengklasifikasikan topan dalam empat kategori - normal, kuat, sangat kuat, super kuat - dan Hinnamnor diperkirakan akan mencapai negara itu sebagai topan "sangat kuat". 

Topan dengan klasifikasi tersebut memiliki kecepatan angin hingga 53 meter per detik.

Peringatan telah dikeluarkan di kota-kota selatan, termasuk Gwangju, Busan, Daegu dan Ulsan, setelah itu di pulau selatan Jeju.

Baca juga: Topan Batsirai Hantam Madagaskar, 10 Orang Tewas dan 48.000 Orang Mengungsi

Sementara Markas Pusat Penanggulangan Bencana dan Keselamatan pada hari Minggu meningkatkan tingkat siaga topan ke level tertinggi di empat tingkat. 

Kota Busan dan daerah sekitarnya telah diguyur hujan sepanjang akhir pekan, dengan perkiraan hujan lebih banyak di seluruh negeri untuk Senin dan Selasa. 

Tidak ada korban jiwa yang dilaporkan sejauh ini, meskipun lebih dari 100 orang telah dievakuasi dan setidaknya 11 fasilitas rusak akibat banjir.

Maskapai Korean Air dan Asiana telah membatalkan sebagian besar penerbangan Senin mereka ke Pulau Jeju, menurut situs web mereka.

Sementara maskapai penerbangan murah seperti Air Seoul dan Jin Air telah membatalkan beberapa penerbangan mereka yang berangkat setelah pukul 1 siang (11 pagi waktu Thailand) pada hari Senin.

Rekomendasi untuk Anda
AA

Berita Terkini

© 2025 TribunNews.com, a subsidiary of KG Media. All Right Reserved